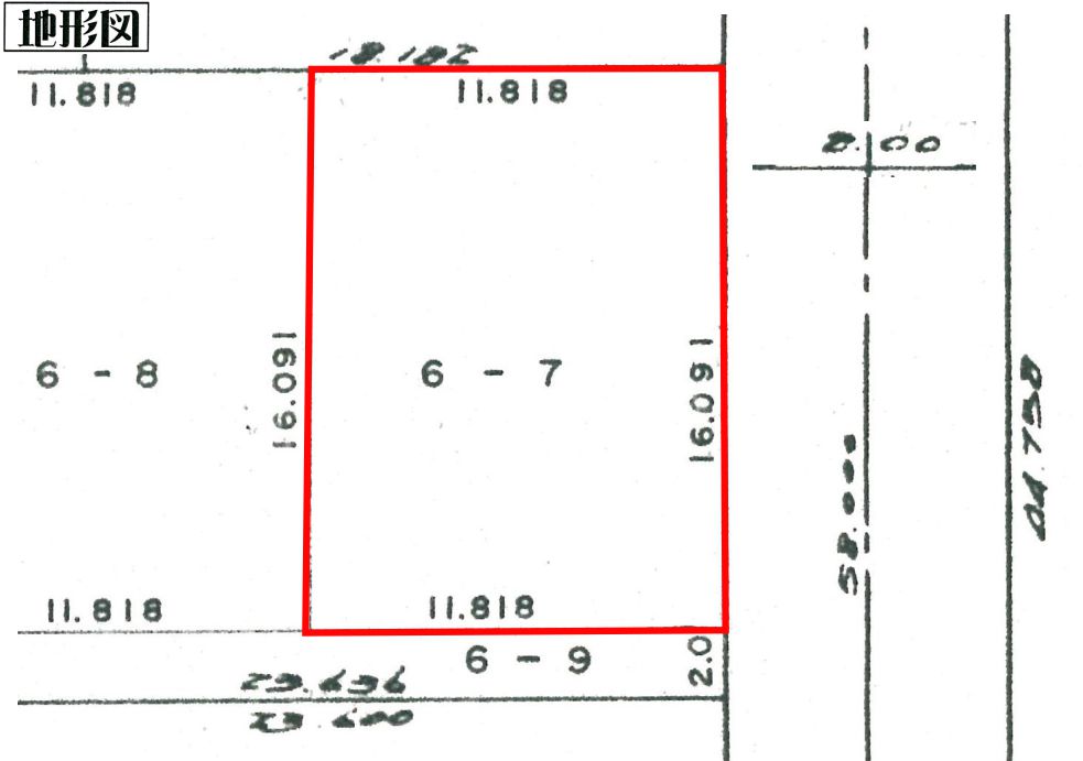
大楽毛4 売地 価格120万円売地坪単価2.08万円所在地北海道釧路市大楽毛4丁目6番7 交通 徒歩バス分 バス(大楽毛駅前停 停歩3分)駐車場取引態様仲介引渡/入居時期現況地目宅地用途地域都市計画市街化区域地勢平坦土地面積190.16m²土地面積計測方式公簿セットバック無セットバック量建ぺい率90%容積率200%土地権利接道状況一方周辺環境 大楽毛小 大楽毛中設備・条件物件番号 030605 Loading...※物件掲載内容と現況に相違がある場合は現況を優先と致します。Author flolitPosted on 2021年7月21日株式会社フロリット 〒085-0035 北海道釧路市共栄大通4丁目1−6 代表)0154-25-5554 免許番号 北海道知事免許 釧路(5)第461号